

Среди садоводов распространено мнение, что лучшей природной подкормкой является коровяк и в нем содержаться все необходимые элементы для огородных культур. Однако это утверждение верно только частично: коровий навоз — хороший источник азота, но другие питательные вещества в нем не содержатся. Для коррекции такого дисбаланса я использую минеральные удобрения. Чтобы понимать какую именно прикормку использовать, нужно научиться определять нехватку элементов по определенным признакам:
Признаки дефицита азота
Если листовая пластина растения бледнеет и уменьшается в размерах, а сама культура начинает увядать и желтеть, то следует заподозрить нехватку азота. Дополнительными признаками может выступать раннее цветение со слабыми и малочисленными цветоносами.
У разных культур дисбаланс азотистых соединений выражается по-разному: у чеснока желтеют головки; нижние листья капусты приобретают розовый оттенок с примесью желтизны и отделяются от стебля. У белокочанного сорта удлиняется кочерыжка, у цветного — формируются ослабленные соцветия. Плети огурцов окрашиваются в желтый цвет, а сами овощи становятся крючковатой формы с острым концом.
Восполнить нехватку азота помогает мочевина (1 ст. л. на 10 л. воды), которой опрыскивают растение или вносят ее в качестве прикорневой подкормки. Признаки болезни проходят через 3-4 дня. Для усиления эффекта опытные огородники рекомендуют дополнительное использование аммиачной селитры в пропорции 50 г. на 1 кв. м.


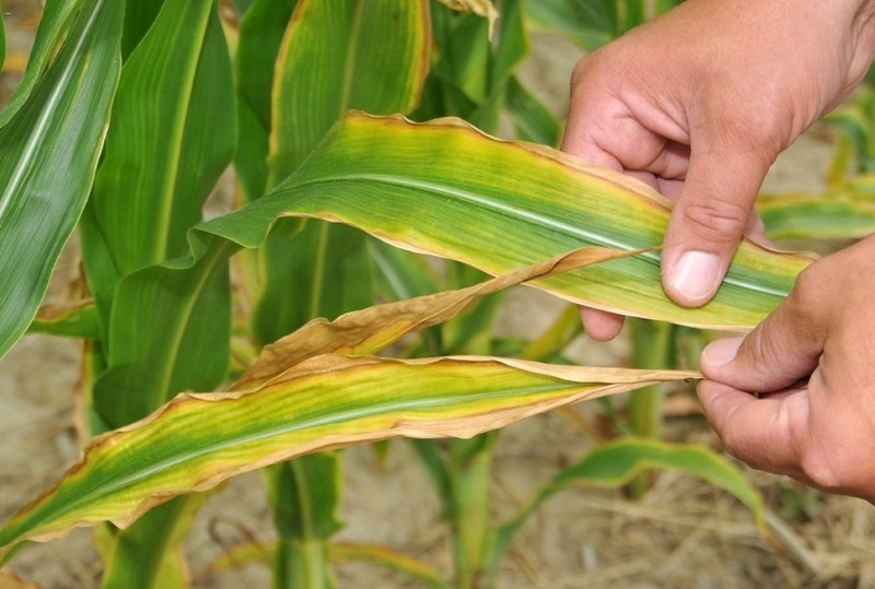
Дисбаланс калия
Признаки дефицита калия — белые кромки листьев, которые спустя время окрашиваются в бурый оттенок и высыхают (болезнь краевой ожог).
При длительном калиевом голодании стебли огородных культур слабеют настолько, что могут лечь на землю от сильного ветра. Листья огурцов приобретают выпуклую форму, края скручиваются вниз.
Нехватку калия восполнит раствор хлористого калия (50 г. на 10-ти литровое ведро воды), которым опрыскивают растение. В качестве прикорневой подкормки вносят сернокислый калий (до 70 г.), после чего грядки хорошо поливают.


Если нужен фосфор
Нехватка фосфора явление редкое. Признаки: листовая пластина сверху становится тусклого темно-зеленого цвета, снизу же приобретает зелено-синий, фиолетовый или лиловый окрас. Лучше всего это видно рядом с прожилками.
При дисбалансе фосфора стебли рассады помидор становятся полностью сине-зелеными. При этом возможно появление пятен красного или пурпурного цвета. Листовые пластины опадают, а уже опавшие — становятся черными. Сами побеги истончаются и прекращают расти.
Восполнить нехватку микроэлемента помогает 30 грамм двойного суперфосфата на 1 кв. м. грядки.


Борное голодание
Нехватка бора лучше всего заметна на точках роста: стебельки и листовые пластины искривляются, а у огурцов неправильную форму приобретают еще и сами овощи. Кожица кабачков и цуккини грубеет и становится шероховатой. В кочерыжке белокочанной капусты образуются дырки, а соцветия цветной капусты становятся бурыми и рыхлыми по форме, внутри них начинают расти небольшие листья.
Заболевшая свекла не подлежит длительному хранению невозможно, процесс гниения начинается еще на огороде или в начале хранения. На поверхности моркови появляются повреждения черного цвета. Борная кислота (3 г. на 1 кв. м.) восполняет нехватку бора.
Использовать минеральные прикормки просто и при этом они имеют уже доказанную эффективность. Для внекорневого внесения их растворяют в воде, отстаивают и наливают в пластиковую тару с пульверизатором. Для корневого полива подойдет садовая лейка. В качестве мерных инструментов для удобрений я использую стакан и столовую ложку.


Виды органических подкормок, их описания и способы внесения
Большинство дачников отмечают эффективность органических прикормок, однако при неправильном внесении даже они могут повредить грунту и огородным культурам. Только следование рекомендациям, приведенным ниже, поможет извлечь из органики всю выгоду.


Виды органических удобрений:
Коровий навоз
Самое распространенное органическое удобрение, улучшающее структуру, аэрацию и водопроницаемость в почву. Несмотря на органическую природу, коровяк обладает длительным (до 7-ми лет) сроком действия и является достаточно доступным, по сравнению, например, с торфом. Однако некоторые огородники забывают про негативную сторону этой прикормки: вносить коровяк нужно всего один раз в 4 года из расчета 4 кг. на 1 кв. м. Не соблюдение этого правила приводит к переизбытку в почве азотистых соединений. Это в свою очередь ведет к перенасыщению нитратами огородных культур.
Рекомендации по внесению навоза:
- Коровяк должен быть хорошо перепревшим. Внесение свежего удобрения не допустимо, так как оно является источником многих заболеваний и причиной появления вредителей. В содержимом также могут содержаться не переваренные семена сорной травы, которые дальнейшем могут прорасти. Также разлагаясь, свежий коровяк выделяет большой объем тепла и газа, которые в сочетании с азотом, стимулируют активный рост культур. Растения при этом слабеют, а собранный урожай не подлежит длительному хранению;
- Нельзя удобрять коровьим навозом кислые грунты, ведь это еще больше увеличивает рН грунта. Для нейтрализации побочного эффекта коровий навоз можно смешивать с известью или полностью заменить его конским;
- При внесении коровяка в яму для посадки во избежание ожога и замедленного роста следует избегать непосредственного контакта навоза с корневищем растения.
Помет
Ценность птичьего помета по питательности сравнима с комплексными минеральными удобрениями. Содержащиеся в нем азотистые и фосфорные соединения, магний и калий помогают удобрять почву, а бактериофаги, которые подавляют жизнедеятельность опасных возбудителей, дополнительно защищают ее от болезней. Однако при внесении помета нужно соблюдать определенные правила:
- Свежая подкормка вносится только вместе с торфом либо дерновой землей, которые помогают нейтрализовать действие содержащейся в помете мочевой кислоты. Возможно использование водной настойки помета, выдержанной 10 дней;
- Перед использованием удобрения землю хорошо поливают. Его действие начинается минимум через неделю после внесения, поэтому сверху подкормку присыпают землей;
- Норма внесения помета: до 0,5 кг. на 1 кв. м. Действует удобрение на протяжении 3 лет. В весенний и летний период подкармливают растения трижды в сезон.
Торф
Не смотря на то, что торф хорошо разрыхляет и увеличивает водопроницаемость грунта, особой популярностью среди дачников он не пользуется. Главный недостаток: малое содержание питательных веществ и плохая отдача азота. Поэтому чаще всего он используется в качестве добавки к другим удобрениям.
Перед использованием торф выветривают. Это необходимо для перехода (до 3 недель) опасных соединений алюминия и железа в более безопасные оксидные формы. Чтобы подкормка не вытянула из земли всю влагу, перед внесением ее хорошо увлажняют.
В качестве основного удобрения торф заделывают в грунт на штык лопаты. Торфяные подкормки используют в весной и летом. Торф делиться на верховой (укрывают растения на зиму), промежуточный и низинный, которыми удобряют огородные культуры.
Нужно учитывать способность торфа увеличивать рН почвы. В кислую землю в качестве добавки используют доломитовую муку, известь или золу.
Компост
Такое удобрение легко и просто заготовить самим, используя компостную яму и растительные остатки с огорода.
Среди дачников по своим питательным свойствам компост сравнивают с перегноем: в нем содержится фосфор, кальций, азот и другие микроэлементы. Также он стимулирует размножение полезной микрофлоры.
Недозревший компост не используют, так как в нем превышено содержание болезнетворных организмов и семян сорной травы. Такая подкормка подойдет только для рассады.
В первый год компост богат на азотистые соединения, поэтому на месте его применения не рекомендуется высаживать культуры, накапливающие нитраты (редис, салат, свеклу). Дополнительно почву удобряют прикормками с кальцием и магнием, так как компост на эти микроэлементы беден.
При использовании удобрения с чужого огорода, рекомендуется проверить его на вредных насекомых (например, медведку).
Древесная зола
Зола — хорошо зарекомендовавшая себя органическая подкормка, но при неправильном использовании может нанести вред грунту и произрастающим на ней культурам.


Зола содержит железо, марганец, молибден, магний и другие микроэлементы. Однако азота мало, поэтому в грунт нужно дополнительно вносить удобрения его содержащие. Внесение золы и содержащих азот подкормок одновременно запрещено, так как это провоцирует выделение опасного для растений аммиака.
Зола эффективно уменьшает кислотность, поэтому в малокислый грунт ее добавляют аккуратно. Опытные садоводы рекомендуют использовать древесную золу для удобрения молодой рассады на стадии трех листьев.
При внесении органики следует учитывать индивидуальные особенности некоторых культур:
- На удобрение навозной бражкой (навоз, растворенный и перебродивший в воде) хорошо откликаются огурцы;
- В период вегетации капуста дважды нуждается в подкормке древесной золой;
- Для стимуляции роста у моркови подойдет жидкий помет или навозная жижа. Впервые раз удобрение вносят на стадии появления третьего листа;
- Внесение органической подкормки у томатов происходит через двадцать дней после высаживания рассады в открытый грунт. Второй раз удобрение вносят при распускании кистей, третий — во время полного цветения. Для томатов я рекомендую использовать коровий навоз;
- Баклажаны подкармливают органикой дважды: через 2 недели после высаживания рассады в открытый грунт и во время цветения. Для этого лучше всего отдать предпочтение куриному помету и навозу.
Правильное и своевременное использование минеральных и органических подкормок стимулирует рост растений, защищает их от болезней и позволяет собрать вкусный урожай.
Автор, Антонина Изотова, садовод